| (6.22) |
б) если не представилось возможным установить угол встречи, но установлена скорость
второго ТС перед ударом, то скорость
данного ТС
|
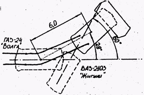
Пример. Автомобиль ГАЗ-24 «Волга» (масса
= 1,7 т) столкнулся с автомобилем ВАЗ-2103 (масса
= 1,2 т), двигавшимся под углом к нему с правой стороны. После столкновения автомобили продвинулись в одном направлении на расстояние
=6 м, отклонились от первоначального направления движения автомобиля ГАЗ-24 на угол
=28°. На проезжей части остались следы скольжения заторможенных колес автомобиля ГАЗ-24 (рис. 6.7)

Рис. 6.7. Схема ДТП
Среднее значение замедления при перемещении автомобилей
=6 м/с².
Требуется определить скорость автомобилей в момент столкновения, если автомобиля под углом
=60° и после столкновения продвинулись до остановки по инерции.
Решение. Скорость автомобиля ГАЗ-24
|
где
- скорость автомобиля после удара
|
значения синусов углов:
=
= 0,866;
=
=0,53;
Скорость автомобиля ВАЗ-2103 определяется по формуле (6.22)
|
где
=
=0,47.
Пример. При тех же обстоятельствах происшествия определить скорость автомобиля ГАЗ-24, если не представилось возможным устан6овить направление движения автомобиля ВАЗ-2103 перед столкновением, но установлена скорость
= =40км/ч.
Решение. Скорость автомобиля ГАЗ-24 можно определить по формуле (6.23)
|
где
=
= 0,88.
Из полученных двух значений скорости
нужное может быть выбрано исходя из обстоятельств происшествия (см. рис. 6.7). в данном случае значение скорости
=
км/ч соответствует углу встречи
=60°, а
=
км/ч соответствует
=120°.
При продольном столкновении ТС скорость одного из них перед столкновением может быть определена, если известна скорость другого, по следующим формулам:
| (6.24) |
|
Определение угла встречи при столкновении
Угол встречи может быть установлен при исследовании места происшествия по направлению оставленных на дороге следов качения заноса или торможения перед столкновения. Если установлены углы
и
, то угол встречи определяется как их разность (рис. 6.8).

Рис. 6.8 Параметры, определяющие расположение транспортных средств при столкновении:
- угол встречи,
- угол взаимного расположения в момент столкновения,
,
- углы заноса,
,
- углы отклонения направления движения от продольного направления дороги.
|
Из за большого объема этот материал размещен на нескольких страницах:
1 2 3 4 5 6 7 8 9 10 11 12 13 14 15 16 17 18 19 20 21 22 23 24 25 26 27 28 29 30 31 32 33 34 35 36 37 38 39 40 41 42 43 44 45 46 47 48 49 50 51 52 53 54 55 56 57 58 59 60 61 62 63 64 65 66 67 68 69 70 71 72 73 74 75 76 77 78 79 80 81 |



;
∙
.
=
∙
= 31,8 км/ч;
=40 км/ч;
=
-
.