ДЕЛОВАЯ ИГРА «ГЕОДЕЗИСТ»
Тема. Решение треугольников. Практическое применение знаний в нестандартных условиях
Цель: усвоить методы решения задач на решение треугольников, научить применять добытые знания во время решения практических задач; активизировать познавательную активность учеников; ориентировать учеников на профессию геодезиста; развивать умение рассуждать, анализировать и делать выводы.
Формирование компетентностей:
Социальная компетентность: самостоятельное решение задач различными способами и выбор более рациональных, самооценка и взаимооценка, работа в группах;
Поликультурная компетентность: характеристика и решение прикладных задач, которые встречаются в жизни, решение задач историко-культурного содержания, использование информации из истории математических открытий;
Коммуникативная компетентность: стимулирование умения учащихся, комментирование решенных задач, взаимопроверка высказывания собственной точки зрения,
Информационная компетентность: использование дополнительной информации; использование компьютера и создание презентаций к уроку, использование таблиц, схем, опорных конспектов;
Продуктивная творческая деятельность: использование творческих задач, моделирование определенных жизненных задач и явлений, составление задач, вопросов.
Оборудование: компьютер, карточки с задачами, таблицы с рисунками к практическим
задачам, карточки самоконтроля, презентация (слайды).
Применяемые интерактивные технологии: «Ажурная пилка», «Мозговой штурм», «Работа в малых группах»
Ожидаемые результаты:
После урока ученики смогут:
• закрепить методы решения практических задач на решение треугольников;
• усовершенствовать свои умения и навыки решать треугольники;
• решать практические задачи на решение треугольников, делать полный анализ этих задач;
• углубить свои знания о профессии геодезиста, маркшейдера.
Эпиграф:
Практика рождается из крепкого соединения физики и математики.
Ф. Бекон
Ориентировочный план проведения урока
I. Рефлексия настроения.
Ребята, добрый день. Я пришла к вам на урок вот с таким настроением (показываю изображение солнца)! А какое у вас настроение? У вас на столе лежат карточки с изображением солнца, солнца за тучей и тучи. Покажите, какое у вас настроение.
II. Мотивация учебной деятельности
Рассказ учителя
Есть профессии, которые требуют очень часто решать треугольники. В первую очередь этим занимаются геодезисты. Какое бы большое строительство не начиналось, первыми туда идут геодезисты, чтобы снять план местности и охарактеризовать рельеф. Когда же на основе их материалов в проектных организациях проработают проект, геодезисты опять меряют углы, решают треугольники, забивают колышки — «привязывают» проработанный проект к местности. А зачем они решают треугольники? Чтобы определить нужные расстояния, не измеряя их непосредственно. Есть еще специалисты, которые решают подобные задачи в шахтах, тоннелях, метро и других подземных разработках. Это маркшейдеры. Им также часто придется решать треугольники.
III. Сообщение цели и задач урока
На уроке каждый из вас представит себя геодезистом и решит реальную практическую задачу, которая нуждается в знаниях из геометрии, в частности из темы «Решение треугольников».
IV. Организационная работа. Правила игры
Ученики разделяется на 2 группы( «Работа в малых группах»). У каждой группы свое название. Представляются друг другу.
Цель каждой группы — как можно быстрее и правильно решить практические задачи, предложенные соперниками. На обсуждение задач дается 5-10 минут. Задачи записываются в тетрадь, выполняются рисунки на плакатах. Каждый ученик своей группы должен объяснить свою задачу. Победителем будет та группа, которая первой правильно выполнит расчет.
V. Подготовительный этап
1 этап: Экскурс по теоретическим вопросам: Слайды презентации.
(Проверка теоретической части с помощью компьютера.)
Вопрос к группам:
1. С помощью каких приборов измеряются небольшие расстояния,
2. С помощью каких приборов измеряются углы?
3. Что значит решить треугольник?
4. Какие виды задач на решение треугольников существуют?
5. Какие основные теоремы применяем во время решения треугольников?
6. Что значит перейти от текста задачи к математической модели?
(за каждый правильный ответ команда получает 1 балл)
V. Ознакомление и решение практических задач
«Мозговой штурм»
(Каждая группа подбирает задачи для своих соперников дома. )
2 этап. Решение задач по заданным условиям. (Членам команды соперников по условию необходимо создать рисунок, модель задачи и решить ее)
Задача 1 команды
Определить ширину реки, если башня, высота которой 65 м, находится на берегу реки и ее видно из второго берега под углом 65°.
А

Задача 2 команды
Найти расстояние между двумя недоступными предметами В и С, что находятся на противоположных берегах реки, если АС = 8 м, ∟С = 35°,
∟А = 70°.
![]() |
3 этап. («Ажурная пилка»)
По заготовленным рисункам, командам необходимо составить условие задачи и решить ее
Задача 1 команды

Возможное условие задачи: Найти расстояние от острова В, расположенного на озере к пункту А, который находится на березе, если расстояние АС = 18 м и углы α =100°, β = 50°. (Остров принять за точку.)
Задача 2 команды
.

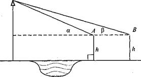
Возможное условие задачи: Из двух точек А и В, расстояние между которыми 50 м, вершину вышки видно под углами α=50° и β = 30°. Найти высоту вышки, если рост человека h = 1,64 м.
VI. Отчет групп
Каждая группа на каждом этапе отчитывается об итогах работы. Для ответа каждая команда выбирает «главного геодезиста». Ученики объясняют решение задач, демонстрируют решения в тетради, на опорных листах, рисунках, обмениваются задачами.
VII. «Проверь себя». Тестирование с помощью компьютера.
Командам предлагаются вопросы с вариантами ответов.
Команды совещаются и выбирают «главного геодезиста», который будет защищать выбранный ответ. Учителю, на опорных карточках, команды предоставляют правильный на их взгляд ответ на вопрос. После чего проверяют свой ответ с помощью компьютера.
VIII. Подведение итогов урока и объяснения домашнего задания
1. Подведение итогов работы в группах (самооценка)
Выбрать и подчеркнуть.
А) Смог ли каждый ученик выдвинуть свое предложение?
Да. Не совсем. Нет.
Б) Обсудили ли все?
Да. Не совсем. Нет.
В) Выполнили ли задачу до конца?
Да. Не совсем. Нет.
2. Подведение итогов работы учителем
А) Какая группа быстро и правильно выполнила задание?
Б) Как работал класс?
В) Как работали отдельные ученики?
Подведение итогов соревнования (заносятся в ходе игры в таблицу результатов)
3. Домашнее задание
Задача (Хорды в романе)
Лонгфело был еще и математиком. По-видимому, именно поэтому яркие обиды, которые украшают математические понятия, которые он использовал в своем романе «Канава», позволяют иллюстрировать некоторые теоремы и их приложения.
«Лилия, что на одну пядь поднималась над поверхностью воды, под порывом свежего ветра притронулась к поверхности озера в двух локтях от предыдущего места».
![]() |
Исходя из этого, нужно было определить глубину озера. (1 пядь равняется 10 дюймам, два локтя — 21 дюйму.)
Предполагаемое решение:
![]() |
Решают эту задачу, опираясь на теорему (свойство хорд): если две хорды одного круга пересекаются, то произведение длин частей одной из них равняется произведению длин частей второй. Рассматривают рисунок и сразу понимают, как найти глубину озера (х):
21
21 = 10
(х+(х+10));
441=20х+100;
х = 17,05 дюймов.
Ответ. 17,5 дюймов
IX. Рефлексия.
Ребята, давайте оценим нашу работу на уроке. Перед вами карточка с изображением горы. Если вы считаете, что хорошо потрудились на уроке, разобрались в методах решения систем тригонометрических уравнений, то нарисуйте себя на вершине самой высокой горы. Если осталось что-то неясно, нарисуйте себя ниже.
Покажите свои рисунки.
Мнение учащихся о занятии.
Вывод общий: Ребята, поскольку мы достигли цели нашего урока, то настроение у меня вот такое: (показываю солнце).
А какое настроение у вас?
Спасибо вам за урок. До свидания.






