Измерение заражения воды ПЯВ осуществляется с помощью дозиметрических приборов ДП-5А, ИМД-1, а 0В-приборами ПХР-МВ, МПХР. Допустимые уровни радиоактивного загрязнения воды представлены в таблице. 2.
Отбор проб воды для определения вида и степени заражения проводится по решению командира части (начальника учреждения) специально подготовленным личным составом (штатные и нештатные химики-дозиметристы, лаборанты и т. д.). Бутыль с отобранной пробой подвергают снаружи дезинфекции, дезактивации или дегазации. На бутыль наклеивают этикетку, заполненную простым карандашом, с указанием номера пробы, даты и места отбора пробы (воинская часть, населенный пункт), кем отобрана проба (воинское звание, фамилия, инициалы). Каждую пробу опечатывают.
Таблица 2
Мощность дозы, мр/ч, соответствующая загрязнению воды продуктами ядерных взрывов (ПЯВ) в количествах, не приводящих к лучевому поражению
Измеряемый объем | Сроки потребления, суток | ||
1 | До 30 | Свыше 30 | |
Котелок | 14 | 3 | 1,4 |
Ведро | 40 | 8 | 4 |
Очистка и обеззараживание воды
Очистку воды производят с целью улучшить ее вкусовые качества, сделать безвредной для питья, т. е. удалить болезнетворные микроорганизмы, токсические, а в военное время – отравляющие и радиоактивные вещества.
В зависимости от качества воды ее подвергают различным видам обработки:
- осветлению - для удаления примесей и взвешенных веществ; при этом одновременно происходит ее дезодорация (уничтожение запаха) и обесцвечивание (уничтожение окраски); обеззараживанию (освобождение от болезнетворных микроорганизмов); обезвреживанию (удаление 0В и ядов); дезактивации (удаление радиоактивных веществ).
В сравнительно редких случаях (при содержании в воде большого количества минеральных веществ и солей жесткости) проводят опреснение воды и ее умягчение.
1-плавающая доска; 2- вода; 3 - песок крупностью 0,5-3 мм, 5- уголь древесный или активированный крупностью 0,5-3 мм; 4, 6 - ткань; 7 - гравий крупностью 5-10 мм | Для осветления воды применяются отстаивание, фильтрование и коагуляция. Путем отстаивания из воды можно удалить только крупные взвешенные в ней частицы; тонкая взвесь (мелкая глина, коллоидные частицы) при этом не удаляется. Более быстро осветлить воду можно фильтрацией ее через различные табельные и подручные фильтры (рис. 48). Для ускорения отстаивания и фильтрации и получения воды более высокого качества мутные и окрашенные воды предварительно подвергают коагуляции путем обработки химическими осадителями-коагулянтами. В качестве коагулянтов применяют сернокислый алюминий (глинозем) А12 (SO4)3 или сернокислое железо (железный купорос) FeSO4. Для обеззараживание воды в полевых условиях используют преимущественно кипячение и хлорирование воды. Кипячение - самый простой и надежный способ обеззараживания, особенно небольших объемов воды Кипятить воду надо не менее 10 мин, считая от момента закипания. После суточного хранения кипяченую воду следует повторно обеззараживать кипячением или хлорированием. |
Хлорирование воды производят с помощью хлорной извести и других хлорсодержащих препаратов (ДТС ГК или нейтрального гипохлорита кальция - НГК). Хлорная известь содержит до 25-30% активного хлора, количество которого по мере хранения снижается. Не рекомендуется использовать для обеззараживания воды хлорную известь с активностью ниже 20%.
Перед хлорированием воды определяют содержание активного хлора в хлор активном препарате, поскольку при хранении он постепенно разрушается. В стакан наливают 100 мл дистиллированной или кипяченой воды, добавляют капельной пипеткой (в 1 мл 25 капель) 10 капель 1% раствора хлорной извести (ДТСГК или НДК), подкисляют 2--3 ложечками бисульфита натрия или 1 мл разбавленной хлористоводородной кислоты (1:5) и перемешивают. Затем добавляют 20-30 кристаллов йодида калия и 1 мл 1 % раствора крахмала и снова перемешивают. Жидкость в стакане окрашивается в сине-фиолетовый цвет. Затем другой капельной пипеткой (в 1 мл 25 капель) добавляют по каплям 0,7% раствор гипосульфита натрия до обесцвечивания. Содержание активного хлора в исследуемом препарате выражается в процентах и равно количеству капель гипосульфита натрия, израсходованного на обесцвечивание.
При отсутствии необходимых условий и реактивов для анализа воду можно хлорировать простейшим способом, руководствуясь расчетом, приведенным в таблице. 3.
Таблица 3
Количество хлорной извести и тиосульфата натрия для хлорирования воды
Характер источника, качество воды | Необходимая доза на 10 ведер воды | |
хлорной извести (с содержанием активного хлора не менее 20%) | гипосульфита | |
Вода грунтовых колодцев; прозрачная бесцветная вода рек и озер | 3 г (одна чайная ложка или соответствующая мерка) | 1,4 г (1/2 чайной ложки) |
Мутная и заметно окрашенная вода рек и озер | 6 г (две чайные ложки или соответствующая мерка) | 2,8 г (1 чайная ложка) |
Надежность обеззараживания воды при ее хлорировании определяется путем определения остаточного активного хлора, который через 30-40 мин (в холодное время года – 1 час) после внесения препарата должен быть не менее 0,8 мг/л. В стакан (колбу) наливают 200 мл исследуемой воды, добавляют небольшое количество (на кончике ножа) йодистого калия и после тщательного перемешивания – примерно 1 мл раствора крахмала. Вода при этом окрашивается в синий цвет. После повторного перемешивания воду медленно, считая капли, титруют 0,7% раствором гипосульфита натрия из капельной пипетки (в 1 мл 25 капель) до полного обесцвечивания. Каждая капля гипосульфита, затраченная на титрование соответствует 0,2 мг/л остаточного хлора.
Обезвреживание воды (удаление вредных химических, в том числе отравляющих веществ) достигается ее фильтрованием через химические поглотители (сорбенты). В качестве таковых в войсковых средствах очистки воды используются различные варианты активированного угля.
Дезактивацией воды называют ее обработку с целью удаления радиоактивных веществ. В полевых условиях она может проводиться перегонкой, коагуляцией и фильтрацией через ионообменные материалы. Полноту удаления радиоактивных веществ проверяют на месте с помощью дозиметрических приборов или путем исследования проб обработанной воды в соответствующей полевой лаборатории.
Организация водоснабжения войск в полевых условиях
В полевых условиях вода расходуется строго по назначению. По назначению и качеству воду подразделяют на хозяйственно-питьевую, санитарно-бытовую и техническую.
Хозяйственно-питьевую воду употребляют для питья, приготовления пищи, выпечки хлеба, на медицинские нужды, умывание, мытье посуды и кухонного инвентаря. Санитарно-бытовая вода предназначена для обеспечения крупных пунктов санитарной обработки и полевых прачечных отрядов. Техническая вода расходуется на заправку систем охлаждения двигателей, мойку и дегазацию (дезактивацию) техники, приготовление дегазирующих и дезинфицирующих растворов.
Хозяйственно-питьевой водой войска обеспечивают только с пунктов водоснабжения.
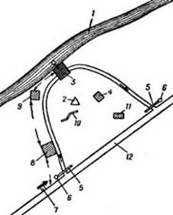
Пункт водоснабжения - оборудованный участок местности с источником воды, где производится добыча, очистка, хранение и выдача воды питьевого качества. В тех условиях, когда источник воды находится на значительном удалении, пункт водоснабжения развертывают на привозной воде. В этом случае он называется водоразборный пункт. Крупный пункт водоснабжения (ПВ) включает рабочую площадку, пост регулирования, площадку ожидания (рис.49).
1 – река; 2 – наблюдательный пост; 3 – рабочая площадка; 4 – место для лаборатории; 5 – шлагбаум; |
|
|
а | б | |
а – мелкий трубчатый колодец МТК-2М; б - механизированный шнековый колодец МШК-15 | ||
На рабочей площадке добывают и очищают воду, хранят ее в резервуарах, оборудуют места для выдачи воды в подразделения. В пределах рабочей площадки устанавливают строгий санитарный режим. |
В радиусе 50-100 м создают санитарно-защитную зону, в пределах которой не должно быть свалок мусора, отхожих мест, выгребных ям и т. д. При выборе места развёртывания ПВ учитывают защитные и маскирующие свойства местности, санитарно-эпидемическое состояние района, дебит источника и качество воды в нем. Пункты водоснабжения на реках располагают выше по течению мест купания, водопоя животных, стирки белья, заправки и мойки машин. Добыча и очистка воды на пунктах водоснабжения производиться с помощью табельных средств водоснабжения.
Выдаваемая с пунктов водоснабжения вода должна содержать 0,8-1,2 мг/л активного хлора, чтобы в процессе хранения и транспортировки она не подвергалась вторичному заражению.
Табельные средства водоснабжения
Технические средства водоснабжения войск подразделяются на средства добычи воды, средства очистки, средства транспортировки и хранения воды
Средства добычи воды
Мелкий трубчатый колодец МТК-2М (рис. 50а) предназначен для добычи грунтовых вод путем устройства вручную скважин в рыхлых породах. Глубина бурения колодца 7 м, производительность 1 м. куб/ч, время на установку колодца (с бурением скважины в средних грунтах) 3-4 ч, масса комплекта 180 кг. Для развертывания и бурения требуется 3-4 человека, для откачки-2 человека.
Механизированный шнековый колодец МШК-15 (рис.50 б) предназначен для добычи грунтовых вод путем устройства неглубоких водозаборных скважин в рыхлых породах, а также для откачки воды из шахтных колодцев Глубина бурения 15 м, производительность насоса 1,5 м. куб/ч, время на развертывание колодца (до получения воды) 1,5-2,5 ч, масса комплекта 350 кг. Для развертывания и бурения требуется 2 человека.
1 - ввод прохлорированной и коагулированной воды; 2- тканевый мешок; 3-ивовая корзинка; | Установка для добычи грунтовых вод УДВ-15 предназначена для устройства временных скважин и очистки воды поверхностных источников. Глубина бурения 15 м, производительность насоса 2 м. куб/ч, время на развертывание из транспортного положения до начала выдачи воды 1 -2 ч, масса комплекта 1500 кг. Для развертывания и бурения требуется 2 человека. Установка включает помимо бурового агрегата два тканево-угольных фильтра ТУФ-200, два резервуара для воды, два насоса. Передвижные буровые установки ПБУ-50 и ПБУ-50М предназначены для оборудования скважин глубиной бурения 50 м и шахтных колодцев глубиной 15 м. Производительность насосов 3,5-4,5 м. куб/ч. Средства очистки и опреснения воды В войсках для очистки воды используют тканево-угольный фильтр ТУФ-200 (ПФ-200), войсковые фильтровальные станции ВФС-2,5, ВФС-10 и МАФС-З. Средствами опреснения воды являются передвижная опреснительная установка ПОУ и передвижная опреснительная станция ОПС. |
1 – резервуары РДВ-100 для обработки воды; 2 – ручной насос; 3 – фильтр; 4 – резервуар РДВ-100 для очищенной воды |
Тканево-угольный фильтр ТУФ-200 (ПФ-200) предназначен для очистки воды от естественных загрязнений, ее обеззараживания, обезвреживания и дезактивации (рис. 51).
В комплект ТУФ-200 входят: фильтр, ручной насос, резервуары для воды РДВ-100, брезентовые ведра, фильтрующие материалы и реагенты, запасные части, инструмент. Производительность фильтра 200 л воды в час. Время развертывания до получения чистой воды (при положительных температурах) 1,5 ч. Продолжительность работы на запасе реагентов и сорбентов при очистке воды от естественных загрязнений и болезнетворных организмов составляет 40 ч. Схема развертывания фильтра представлена на рис. 52.
Войсковые фильтровальные станции ВФС-2,5, ВФС-10 и МАФС-3 оборудованы на шасси автомобилей ГАЗ-66-01 или ЗИЛ-131 и предназначены для очистки воды от естественных загрязнений, обеззараживания, обезвреживания и дезактивации (Рис.53). Производительность их составляет: ВФС-2,5 - 2,5 м.3 в час, ВФС-10 – до 10 м3 час, МАФС-3 – до 8 м3 час очищенной воды. Производительность средств опреснения составляет: ПОУ-4 – о,3 м3 час, ОПС – 2 м3 час.
Средства транспортировки и хранения воды
Для хранения и транспортировки воды в полевых условиях используют табельные резервуары (типа РДВ), автоводоцисцерны, полевые кухни, термосы и фляги. Можно использовать подручную тару, тщательно промытые и продезинфицированные бочки, баки, канистры и т. д. Не допускается использовать для этой цели емкости, где ранее хранились и перевозились горюче-смазочные материалы.
|
|
Табельные резервуары из прорезиненной ткани РДВ-5000, РДВ-1500 (рис.54) и РДВ-100 (соответственно на 5000, 1500 и 100 л) размещают в укрытых местах на выровненных площадках, очищенных от посторонних предметов, способных повредить ткань, укрывают от воздействия прямых солнечных лучей. Для предотвращения попадания в них пыли и грязи резервуар РДВ-5000 закрывают специальной крышкой, а у резервуаров РДВ-1500 и РДВ-100 завязывают горловины. Зимой для предохранения от замерзания воды резервуары устанавливают в отапливаемые помещения или засыпают снегом, укрывают соломой, еловыми ветвями и т. п.
Для подвоза воды используют специальные автоцистерны и резервуары РДВ, устанавливаемые в кузове автомобиля. Автоцистерны бывают различной вместимости: АЦПТ-4,1, АЦПТ-5, АВЦ-1,7 (цифра в названии указывает их объем: соответственно 4100, 5000 и 1700 л). Термоизоляция (обозначается буквой «Т» в названии) позволяет воде не замерзать в автоцистернах при температуре наружного воздуха минус 30° С в течение 10-12 ч.
При длительных перевозках и низких температурах воду можно перевозить в виде кусков льда, помещенных в полиэтиленовые мешки или укрытых чистым брезентом.
Питьевая вода в полевых условиях хранится в закрытой таре, разбор ее производится только через краны. При длительном хранении ее нужно периодически хлорировать, чтобы уровень остаточного хлора поддерживалось на уровне 0,3-0,5 мг/л. Запасы воды, предназначенные для питья и приготовления пищи, должны охраняться. Тару для хранения и транспортировки воды подвергают дезинфекции не реже одного раза в неделю, а при случайном загрязнении – немедленно.
Обеззараживание индивидуальных запасов воды во флягах производят с помощью специальных дезинфицирующих таблеток (пантоцид или аквасепт). Таблетка пантоцида содержит 3 мг активного хлора и рассчитана на обеззараживание одной фляги воды. Вода пригодна для питья через 45 мин - 1 ч, после внесения таблетки. При обеззараживании мутной воды растворяют 2-3 таблетки пантоцида в одной фляге. Аквасепт - таблетки белого цвета, содержащие 4 мг активного хлора.. Одну таблетку растворяют в 1 л воды. Время обеззараживания - не более45 мин от момента внесения препарата.
Для быстрого утоления жажды из непроверенных пресных водоисточников можно использовать техническое устройство «Родник», которое обеспечивает одновременно очистку и обеззараживание воды. Устройство выполнено в виде трубки, наполненной обеззараживающей и адсорбирующей шихтой. «Родник» является средством индивидуального обеспечения и позволяет получать от 6 до 9 л доброкачественной воды в час. Способ использования заключается в просасывании необработанной воды ртом через устройство.
В обязанности санитарного инструктора роты входят:
- участие в разведке источников воды, отборе проб воды для исследования и в отправке их в лабораторию. контроль за соблюдением санитарного режима на ПВ и в зоне санитарной охраны источников воды; контроль (по указанию врача или фельдшера) за санитарным состоянием оборудования, предназначенного для добычи, транспортировки и хранения воды, выполнением технологического регламента ее очистки и обеззараживания; надзор за санитарным состоянием фляг и наполнением их доброкачественной водой или чаем; разъяснение солдатам правил питьевого режима на марше и наблюдение за их выполнением; контроль за обеспеченностью личного состава средствами обеззараживания индивидуальных запасов воды, инструктирование солдат о порядке их применения.
Банно-прачечное обслуживание личного состава
Одной из существенных основ здорового образа жизни является поддержание в чистоте тела, белья, одежды, постельных принадлежностей, что способствует укреплению здоровья, предупреждению педикулеза, гнойничковых заболеваний кожи и инфекционных болезней. Обеспечение этих мероприятий в Вооруженных Силах возложено на вещевую службу, которая обязана осуществлять банно-прачечное обслуживание войск. Оно включает регулярную помывку в бане с обязательной сменой нательного и постельного белья. Прибытие личного состава в баню и учет замены белья организуют командир и старшина подразделения (роты). В комплект белья, подлежащего обязательной замене при каждой помывке, входят нательное белье, портянки, две простыни, наволочка подушечная верхняя и 2 полотенца (лицевое и ножное). В зимнее время, кроме того, один раз в две недели заменяется теплое белье и зимние портянки. Повара и хлебопеки принимают ежедневно душ и 2 раза в неделю моются в бане со сменой нательного белья, а спецодежду меняют по мере загрязнения. По нормам снабжения вещевым имуществом военнослужащие обеспечиваются мылом туалетным (200 г) и банным – 100 г в месяц на человека.
Медицинская служба контролирует санитарное состояние бань и прачечных, регулярность еженедельной помывки и смены белья, наличие банных полотенец, мыла и мочалок, обеспечивает банно-прачечное предприятие дезинфекционными средствами, осуществляет контроль за выполнением гигиенических норм и правил.
В банные дни для поддержания порядка. назначают дежурного по бане, а также санитарного инструктора, который должен прибыть на дежурство с сумкой санинструктора. Санитарный инструктор проводит перед помывкой обязательный телесный осмотр всего личного состава с целью своевременного обнаружения кожных, венерических заболеваний и педикулеза. Всех выявленных больных или пораженных педикулезом он регистрирует и докладывает о них начальнику медицинской службы.
Во время дежурства по бане санитарный инструктор обязан: до помывки личного состава проверить качество уборки бани, температуру помещений, которая должна быть не менее 25° в мыльной и 20° в одевальной и раздевальной, обеспеченность мылом, шайками, мочалками и банными полотенцами. После каждой смены моющихся он обязан контролировать дезинфекцию мочалок. и помещения бани; проверять порядок приема и хранения грязного белья и следить за тем, чтобы чистое белье не перемешивалось с грязным; проверять, хорошо ли вымылись люди, и не допускать нарушения санитарного порядка в бане, в частности - стирки личного нательного белья и обмундирования. В необходимых случаях санитарный инструктор оказывает первую помощь. После помывки личного состава в бане санитарный инструктор проверяет заключительную уборку и дезинфекцию помещений и мочалок.
Под контролем санитарного инструктора перед каждой сменой моющихся производится тщательная уборка бани силами дежурного наряда. Полы в помещениях для раздевания и одевания военнослужащих подметают и вытирают влажными тряпками, а скамьи - тряпками, смоченными дезинфицирующим раствором. В моечном отделении скамьи и полы обливают горячей водой. Мочалки являются инвентарем бани, их хранят и выдают личному составу в бане. После каждой партии моющихся мочалки дезинфицируют кипячением в течение 15 мин. или замачиванием в 3% растворе хлорамина (лизола) в течение 30 мин.
Санитарный инструктор вместе с дежурным по бане следит за порядком и уборкой в бане, осуществляет дезинфекцию помещений 0,5% осветленным раствором хлорной извести, 1% раствором хлорамина или 3% раствором лизола. При телесном осмотре он выявляет военнослужащих с гнойничковыми и грибковыми заболеваниями кожи, и следит, чтобы они мылись отдельно от остальных и в последнюю очередь. По окончании помывки санинструктор проводит дезинфекцию 2% щелочным раствором (неочищенной соды) или 3% осветленным раствором хлорной извести с экспозицией (выдержкой) не менее 30 мин.
Сдают грязное белье в стирку в день его смены. На вещевом складе грязное белье хранят не более суток, после чего оно должно быть сдано в прачечную. Категорически запрещается хранить на складе грязное белье вместе с чистыми предметами вещевого имущества.
Воинские части и отдельные команды, следующие по железным дорогам, при нахождении в пути более 7 суток помывку личного состава производят в изоляционно-пропускных и санитарно-пропускных пунктах Министерства путей сообщения, а при отсутствии их - в гарнизонных или железнодорожных банях по распоряжению военных комендантов железнодорожных участков (станций).
Гигиена войск при размещении в учебных центрах и на полигонах
Основной задачей учебных центров является совершенствование боевой и полевой выучки войск, а также использование природных факторов для укрепления здоровья и физического развития военнослужащих.
Личный состав частей и подразделений на протяжении всего года по плану выезжает в центры для отработки задач боевой и специальной подготовки в соответствии с тематикой зимнего и летнего периодов обучения.
Территорию для учебного центра или лагеря выбирают сухой, возвышенной, не затопляемой талыми или дождевыми водами, с почвой, не дающей большого пылеобразования. Учебный центр должен находиться вдали от промышленных предприятий, иметь благоприятные условия для водоснабжения и места для и устройства свалок.
Место для разбивки лагеря выбирают вблизи учебных объектов (полей). При определении фронта лагеря учитывают направление господствующих ветров. Фланги лагеря должны находиться от проезжих дорог не ближе 50 м. Лагерь разбивают на прямоугольные кварталы продольными и поперечными линейками, которые служат одновременно и путями сообщения. По глубине он разделяется на полосы тремя параллельными фронту лагеря линейками: передней, средней и задней. Между передней и средней линейками в палатках размещаются подразделения. Лагерные палатки рассчитаны на 8-10 человек. Между средней и задней линейками размещают штаб части, медицинский пункт и столовую. Между задней линейкой и тыловой дорогой размещают уборные, склады, мастерские, хозяйственные постройки.
Палаточные гнезда располагаются по фронту роты по три или по два гнезда. Расстояние по фронту между основаниями бортов смежных гнезд 2,5 м, в глубину-5 м. Погребки для воды и умывальники оборудуют в первой полосе за палаточным расположением рот.
Личный состав в палатках (рис.55) размещается на нарах или койках, на расстоянии 30-50 см от пола (чтобы не было охлаждения во время сна). Наиболее гигиеничны в палатках деревянные полы. В летнее время проветривание палаток, в том числе и ночью, проводится открыванием входов и приподниманием боковых стенок намета. Зимние палатки снабжают для утепления внутренними наметами. Отопление в зимнее время осуществляется печами-времянками.
Период пребывания подразделения в лагере или учебном центре обязывает санитарного инструктора быть особенно внимательным к соблюдению военнослужащими правил личной и общественной гигиены, особенно если этот период совпал с неблагоприятной эпидемической обстановкой. При размещении в лагерях снижается по сравнению со стационарными условиями уровень коммунального благоустройства. В лагерях значительное время отводится на обслуживание техники и отработку учебных задач в поле, поэтому мыть руки и тело необходимо гораздо чаще.
| Умывание личного состава организуют из полевых умывальников, куда вода подается из водопровода или подвозится автотранспортом. Для хранения питьевой воды оборудуют погребки полузаглубленные землянки, где на подставках устанавливают бачки, закрываемые на замок (рис.56). Воду в бачки заливают ежедневно после их тщательного предварительного прополаскивания. Можно оборудовать для питья специальные фонтанчики на сети водопровода. Во время занятий в поле личный состав использует воду из личных фляг. Санитарный инструктор должен обращать особое внимание на недопущение питья воды из случайных водоисточников. Для обеззараживания воды личному составу выдают специальные таблетки (пантоцид, аквасепт). Важное значение в полевых условиях придается контролю за организацией питания. Санитарный инструктор должен постоянно осуществлять контроль за санитарно-гигиеническими условиями приготовления и порядком приема пищи, мытьем котелков, ложек, кружек, хранением продуктов и кухонного инвентаря, своевременностью вывоза пищевых отходов, удалением мусора и нечистот, а также организовывать и проводить дезинфекционные и дезинсекционные мероприятия. |
Санитарный инструктор должен следить за благоустройством и чистотой территории своего подразделения. Уборка территории производится суточным нарядом. Мусор должен своевременно собираться и удаляться, уборные, мусорные ящики и помойные ямы систематически дезинфицироваться. Особое внимание уделяется борьбе с мухами.
Для сбора и обезвреживания нечистот при кратковременном размещении войск в полевых условиях оборудуют ровики из расчета один ровик (шириной 0,3 м, глубиной 0,8 м и длиной 1 м) на 20 человек. Ровики отрывают на удалении не менее 200 м от источников воды. После заполнения ровика на 3/4 глубины его засыпают землей. Следующий ровик отрывают параллельно на расстоянии 1-2 м. В окопах и траншеях отхожие места оборудуют в тупиковых ответвлениях ходов сообщений.
В военное время санитарный инструктор участвует в медицинском контроле за очисткой полей сражения и захоронением погибших.
Гигиена личного состава на марше и при перевозках войск
В современных условиях марш стал составным элементом всех видов боевых действий войск. Марш в большинстве случаев совершается на боевых (транспортных) машинах, в отдельных случаях (на труднодоступной для автомобильного транспорта местности, в распутицу и т. д.) и пешим порядком. Протяженность и длительность марша могут быть различными. Марш, особенно совершаемый пешим порядком, требует больших физических затрат. Для отдыха личного состава, приема пищи, технического осмотра и дозаправки машин через каждые 3 - 4 ч движения назначают привалы продолжительностью до 1 ч и один привал на 2 ч во второй половине суточного перехода. При длительных маршах, кроме того, назначают дневной (ночной) отдых.
Санитарный инструктор принимает участие в проведении медицинской разведки маршрутов, районов остановок, дневного (ночного) отдыха, в выявлении водоисточников, осуществляет контроль за соблюдением личным составом санитарно-гигиенических требований при подготовке к маршу и в ходе его проведения. В подготовительный к маршу период санитарный инструктор выявляет больных и докладывает о них командиру подразделения и врачу.
Марши и передвижения особенно тяжело переносятся летом, в районах с жарким климатом, когда резко возрастает теплопродукция, а теплоотдача затруднена. В этих случаях может возникнуть перегревание организма, даже тепловой удар. Основные признаки перегревания: повышение температуры тела до 40-41° С, учащение пульса и дыхания, резкое покраснение или бледность лица, обильное потоотделение, шаткая походка.
При появлении признаков расстройства теплорегуляции солдата надо вывести из строя, освободить от снаряжения, уложить в тени, расстегнуть ворот, дать воды, смочить одежду, на голову и грудь положить влажный платок или полотенце. При тепловом ударе должно быть проведено искусственное дыхание, вызван врач и даны сердечные средства, больного следует эвакуировать в лечебное учреждение.
Длительные переходы в жаркое время лучше проводить ночью или в прохладное время суток, облегчая выкладку за счет предметов не боевого снаряжения. Следует носить хорошо подогнанную одежду, усиливать искусственную вентиляцию расстегиванием воротников, обшлагов кителя. Рекомендуется при возможности смачивать одежду водой. Не допускается нахождение без головного убора. Движение должно сочетаться с отдыхом и соблюдением питьевого режима. Пить воду (чай) следует по мере возникновения жажды, не допуская длительных перерывов. Воздержание от питья накапливает усталость и способствует более быстрому утомлению. Поскольку чувство жажды при работе на жаре отстает от истинной потребности, полезно пить воду регулярно через 30-40 минут по 200-300 мл.
В условиях климата пустынь и полупустынь во время отдыха личного состава санитарному инструктору следует помнить об опасности, которую представляют укусы ядовитых змей, насекомых, клещей.
Подъем в горы может привести к развитию признаков горной болезни: резкая общая слабость, головокружение, головная боль, шум в ушах, сонливость, ощущение нехватки воздуха, сердцебиение, одышка, посинение или побледнение кожных покровов, учащение пульса и падение артериального давления.
Предупреждение признаков горной болезни достигается предварительными тренировками, а подъем на высоту рекомендуется совершать медленно, с длительными остановками на промежуточных этапах. При появлении признаков горной болезни подъем следует прекратить. При выраженных признаках горной болезни дают кислород, применяются сердечно-сосудистые средства и средства, возбуждающие дыхательную деятельность. Для защиты глаз от солнечной радиации используют защитные очки с темными стеклами.
Марш зимой осложнен низкой температурой воздуха, ветрами, метелями, плохой проходимостью дорог. Большое значение в этих условиях приобретает одежда и обувь, которые должны соответствовать погоде, быть хорошо подогнанными и сухими. Зимняя обувь должна позволять ношение двух пар портянок и стельки без сдавливания ноги. На руки надевают теплые варежки или перчатки. Перед маршем личный состав должен быть накормлен горячей пищей, напоен чаем.
При первых признаках отморожения (побледнение, похолодание, онемение пальцев, носа) нужно принять меры само - и взаимопомощи - растирание пораженных участков (но не снегом), согревание их дыханием, горячее питье и т. п.
Для отдыха выбирают укрытия, сухие и защищенные от ветра места (скаты, овраги, низины), сооружают шалаши и навесы. При следовании на автомашинах для улучшения кровообращения в конечностях надо периодически шевелить пальцами рук и ног, во время остановок делать разминку, пробежки. Для экипажей танков и других боевых машин целесообразно обертывание сукном или войлоком охлаждающих металлических частей рычагов и педалей управления.
Перевозка войск по железной дороге осуществляется в воинском эшелоне. Личный состав перед перевозкой проходит помывку со сменой белья и медицинский осмотр. При продолжительности перевозки более трех суток в состав эшелона включают вагон изолятор, предназначаемый для временной изоляции инфекционных больных. Больные, которые по заключению врача не могут следовать дальше, с разрешения начальника эшелона направляются с сопровождающим в ближайшее военное или гражданское лечебное учреждение.
Военнослужащие в пути следования не менее двух раз в сутки обеспечиваются горячей пищей из полевых кухонь воинских эшелонов или через столовые военно-продовольственных пунктов (не менее одного раза с сутки). Пища готовится по единой раскладке для всего личного состава воинского эшелона. В случае невозможности получения горячей пищи выдается сухой паек. Питание сухим пайком не должно превышать трех суток.
При перевозках войск железнодорожным транспортом личный состав обеспечивается водой за счет запасов, создаваемых в табельных резервуарах и подручных емкостях. Снабжение эшелона холодной водой и кипятком производится на станциях, где имеются водозаборные устройства и кипятильники.
При железнодорожных перевозках войск в обязанности санитарного инструктора входит: контроль своевременности помывки личного состава со сменой белья; контроль за санитарным состоянием вагонов; питанием личного состава, хранением продовольствия и снабжением питьевой водой, ежедневный обход вагонов, активное выявление и изоляция заболевших; проведение дезинфекционных мероприятий; контроль за соблюдением правил личной гигиены; санитарно-просветительная работа среди военнослужащих.
Гигиена труда личного состава при действии вредных физических и химических факторов
В процессе эксплуатации техники и вооружения на организм личного состава различных родов войск и специальных частей может воздействовать целый ряд неблагоприятных факторов химической и физической природы: горючее и смазочные материалы, ядовитые технические жидкости, вредные газы, шум, вибрация, электромагнитные и ионизирующие излучения. Каждый из указанных факторов может вызывать нарушения здоровья а потому имеет свои гигиенические нормативы (например, допустимые концентрации вредных газов в воздухе рабочей зоны, предельно допустимые уровни шума, вибрации, электромагнитного облучения и т. д.).
Задачей санитарных инструкторов является контроль за выполнением личным составом правил техники безопасности, соблюдением установленных нормативов и оказание первой медицинской помощи при острых отравлениях (поражениях).
Одной из особенностей военного труда в бронетанковых и мотострелковых войсках является то, что воздух в танках, БМП и других боевых машинах может загрязняться вредными для здоровья пороховыми и отработанными газами. Пороховые газы попадают в обитаемые отделения боевых машин при стрельбе из выбрасываемых гильз и из ствола орудия при открывании замка. Отработанные газы проникают в зону дыхания при забрасывании их ветром, а также при работе двигателя в плохо вентилируемых помещениях (гаражи, мастерские) и полевых укрытиях (капониры, выемки, лощины и т. д.). Действия указанных факторов может приводить к тяжелым, нередко смертельным поражениям людей, обусловленным главным образом содержащейся в их составе окисью углерода.
При движении колонн боевой техники возникает пыль, которая оказывает раздражающее действие на слизистые оболочки. Попадая в глаза, она вызывает воспаление конъюнктивы и век (конъюнктивит и блефарит). Кроме того, загрязнение пылью кожных покровов и одежды служит одной из причин гнойничковой заболеваемости кожи.
Предупреждение заболеваний и поражений личного состава при эксплуатации автомобильной и бронетанковой техники заключается в строгом выполнении правил и инструкций техники безопасности, использовании средств защиты кожи, глаз и органов дыхания (респираторы, защитные очки), соблюдении личной гигиены (мытье рук после обслуживания техники, регулярная помывка в бане, душе и т. д.). Профилактика отравлений пороховыми и отработанными газами заключается в контроле за исправной работой систем вентиляции в боксах и обитаемых отделениях (отсеках) техники. При первых признаках отравления необходимо вывести людей из загазованной зоны, обеспечить доступ свежего воздуха и незамедлительно доставить пораженных в медицинский пункт.
Для профилактики вредного воздействия воздушной волны и импульсного шума в момент выстрела необходимо следить за использованием индивидуальных средств защиты органов слуха (шлем, противошум и т. д.).
Военный труд личного состава войск ПВО, а также радиотехнических частей и подразделений других родов войск связан с эксплуатацией радиолокационных станций (РЛС). Электромагнитное поле сверхвысокой частоты (СВЧ-поле), создаваемое антеннами мощных РЛС, может воздействовать на людей, работающих или проживающих вблизи этих станций. СВЧ-излучение большой интенсивности вызывает нагрев отдельных органов и тканей, что приводит к их повреждению (помутнение хрусталика, нарушения мочеполовой системы, холециститы и др.). Длительное воздействие СВЧ-поля небольшой мощности может приводить к функциональным расстройствам центральной нервной и сердечно-сосудистой системы, повышенной утомляемости, потливости).
Для предупреждения вредного воздействия СВЧ-поля на организм операторов важное значение имеет надежная экранировка передающих блоков. Запрещается включать передающую аппаратуру при снятых или незакрепленных кожухах, открытых дверцах. Не допускается проведение любых работ в зоне, где интенсивность излучения больше предельно допустимых величин, осматривать антенну и открытые концы волноводов при включенном передатчике. При необходимости таких работ операторов снабжают специальными защитными костюмами, которые состоят из комбинезона и шлема, содержащих в своей толще металлическую мелкоячеистую сетку. К костюму придаются защитные металлизированные очки.
Гигиена труда при работе с горючесмазочными материалами и ядовитыми техническими жидкостями.
В процессе обслуживания и ремонта техники личный состав нередко имеет дело с техническими жидкостями, многие из которых обладают агрессивными и ядовитыми свойствами. При аккуратном и правильном обращении с ними технические жидкости не оказывают вредного влияния на организм человека. Несоблюдение же правил техники безопасности может приводить к отравлениям и поражениям людей.
В качестве горючего для двигателей внутреннего сгорания используют продукты переработки нефти - бензин, дизельное топливо, керосин и т. д. Для обеспечения нормальной работы узлов и механизмов применяют различные смазочные материалы-масла. Эти продукты могут оказывать на организм местное и общее действие. Бензины, попадая на кожу, обезжиривают и сушат ее, вызывают появление трещин, раздражение и воспаление. Дизельное топливо и смазочные масла способны вызывать заболевания сальных желез и волосяных мешочков кожи (масляные угри и фолликулиты), чему способствует промасливание обмундирования и спецодежды.
Вдыхание паров горючего и смазочных материалов в ряде случаев может привести к отравлениям. Легкие случаи отравлений сопровождаются головной болью, кашлем, головокружением, слабостью. При удалении пострадавших из загазованной зоны эти явления быстро проходят.
Особая осторожность требуется при обращении с этилированным бензином, содержащим сильноядовитую этиловую жидкость. Входящий в состав этиловой жидкости тетраэтилсвинец способен проникать через неповрежденную кожу, накапливаться в организме и вызывать хроническое отравление, сопровождающееся слабостью, головной болью, бессонницей, ослаблением памяти, падением массы тела.
Охлаждающие и тормозные жидкости на этиленгликоле обладают сладковатым вкусом и близким к алкоголю запахом, поэтому могут быть ошибочно приняты за спиртной напиток. При попадании. в организм они поражают центральную нервную систему и почки (смертельная доза составляет 100-200 мл).
К органическим растворителям относят бензол, толуол, ксилол, дихлорэтан, трихлорэтилен, четыреххлористый углерод и др. Вдыхание паров этих жидкостей вызывает поражение нервной системы, оказывает общее токсическое, наркотическое и судорожное действие.
В технических целях часто применяют серную и азотную кислоты. Высокие концентрации паров серной кислоты вызывают рвоту (иногда кровавую), отделение мокроты с кровью, а затем тяжелое воспалительное заболевание бронхов и легких. Пары азотной кислоты сильно раздражают верхние дыхательные пути, вызывая кашель и одышку, а при значительной концентрации – отек легких. При попадании на кожу концентрированные кислоты вызывают тяжелые ожоги, требующие длительного лечения.
Крайне важно соблюдение правил техники безопасности при ликвидации последствий аварий и при так называемой зачистке цистерн--обезвреживании и удалении остатков ядовитых веществ из резервуаров после их опорожнения. Работа эта должна проводиться командами (расчетами) из 2-3 человек для взаимного наблюдения и оказания помощи при несчастных случаях. Перед тем как спуститься в резервуар, солдат, производящий зачистку, обвязывается веревкой, конец которой. при работе находится снаружи цистерны, с тем, чтобы его можно было вытащить наружу, если он почувствует себя плохо или потеряет сознание. Работа должна проводиться в защитном костюме и шланговом противогазе, позволяющим человеку, находящемуся в емкости, дышать наружным воздухом (Рис. 57). Все комплекты защитной одежды должны быть целыми (без разрывов). После работы их дегазируют и хранят в помещениях с вытяжной вентиляцией. Летом спецодежда может храниться под навесом с хорошими условиями проветривания.
| Для предупреждения отравлений и местных поражений техническими жидкостями санитарный инструктор обязан (под руководством врача) следить за содержанием в исправном состоянии технических средств, предназначенных для их хранения, транспортирования и выдачи (перелива). Хранить технические жидкости следует только в закрытом виде с четким обозначением их названия. Необходимо следить за правильным использованием специальной и защитной одежды кожи, глаз и органов дыхания (противогаза, защитных очков, комбинезона, резиновых фартуков, сапог, перчаток); соблюдением личной гигиены, своевременностью смены и стирки рабочего обмундирования и спецодежды. |
Категорически запрещается курить и принимать пищу во время работы с техническими жидкостями, использовать их для бытовых целей (чистки одежды и т. д.).
Медицинский контроль за физической подготовкой и спортом
В целях профилактики травматизма на занятиях по физической подготовке и при проведении спортивных тренировок санитарный инструктор должен обращать внимание на постепенность втягивания занимающихся, отработку ими ритма дыхания, правильную установку и надежное крепление снарядов, обеспечение страховки и помощи, наличие и исправность матов, их правильное расположение и использование, а также на недопустимость занятий в отсутствие руководителя, в ненастную погоду (снег, дождь и др.). На занятиях должны поддерживаться порядок и дисциплина.
Реакцию организма занимающихся, особенно лиц физически ослабленных и отстающих по физической подготовке, на физическую нагрузку санитарный инструктор проверяет по пульсу, дыханию и общему самочувствию. Медицинский контроль за состоянием здоровья осуществляется в процессе медицинских обследований и осмотров, проводимых начиная с первых дней службы военнослужащего, в плановом порядке и по показаниям.
При физической подготовке и занятии спортом большое значение имеет самоконтроль. Он должен проводиться систематически при физических упражнениях, тренировках, подготовке к соревнованиям. Правилам самоконтроля обучают военнослужащих врач и тренер. При самоконтроле учитывается самочувствие, определяются частота пульса, масса тела, спирометрия и динамометрия, учитываются спортивные достижения. Свои наблюдения рекомендуется записывать в специальном дневнике, составленном по произвольной форме.
Одежда при занятиях физической подготовкой и спортом должна быть свободной, не затруднять движений, дыхания и кровообращения, при выполнении упражнений предохранять от травм, соответствовать виду спорта, сезону и метеорологическим условиям. Спортивная одежда должна быть всегда чистой. Для этого надо следить за ее регулярным проветриванием, сушкой, чисткой и стиркой. Обувь должна не стеснять стопу, быть легкой. удобной и соответствовать виду спорта.
Все места занятий физической подготовкой и спортом должны отвечать установленным санитарно-гигиеническим требованиям, содержаться в чистоте и иметь достаточную площадь и кубатуру; соответствующее освещение, вентиляцию, отопление, температуру и влажность воздуха; необходимое оборудование, исправные спортивные снаряды и имущество.
За выполнение санитарно-гигиенических мероприятий при проведении занятий отвечают прежде всего непосредственные руководители занятий. В случае нарушения основных санитарно-гигиенических требований и возможности нанесения ущерба здоровью занимающихся (дефекты страховки, недостатки оборудования мест занятий, неисправности спортивных снарядов и т. д.) санитарный инструктор должен потребовать прекращения занятия и доложить об этом командиру подразделения и врачу части.
В процессе контроля за физической подготовкой и спортом санитарный инструктор обязан помогать врачу (фельдшеру) части при проведении медицинских обследований, осмотров и наблюдения; следить за санитарно-гигиеническим состоянием мест занятий своего подразделения (спортивных площадок, залов и т. д.) и докладывать по команде о всех нарушениях; проверять осуществление самоконтроля спортсменами подразделения; проводить санитарно-просветительную работу среди военнослужащих по пропаганде здорового образа жизни.
|
Из за большого объема этот материал размещен на нескольких страницах:
1 2 3 |














